| 06:00 | サンタクルス島のホテル Galapagos Morning Glory |
| 07:45 | サンタクルス島のダイビングショップ Scuba Iguana |
| 11:00 | フロレアーナ島でダイビング 1本目 CHAMPIONS |
2019年4月29日
ガラパゴス2日目の朝です。
今日はいよいよガラパゴスでダイビングです!!
とても緊張しています。
ガラパゴスのダイビングはレベルが高くて、上級者向けだとか…
まるで洗濯機の中を泳いでいるみたいだとか…
気分が悪くなって海の中で吐いてしまうとか…
ネットで調べるとそんなことがいっぱい出てきます。
ものすごく恐ろしいのです。
数ヶ月前から不安で仕方ないのです。
そしてついに今日がその日…
サンタクルス島からフロレアーナ島へ日帰りダイビングです。
日帰りダイビングの中で1番すごいらしいゴードンロックというポイントがあるのですが、今日は予約したショップがフロレアーナ島に行く日だったため、ゴードンロックには行けません。
ゴードンロックは本数制限もあり、怖そうなので、行けなくてちょっとホッとしつつも、フロレアーナ島の方が劣ると思うと、あまり期待できなくて残念でもあります。
ともあれ、ガラパゴスでダイビングですから、油断はできないし、楽しみでもあります!
まずは、ホテルの朝食を食べます。
Galapagos Morning Glory
朝食は中庭で食べます。
パンと卵料理はオーダーして、他のものはバイキングスタイルです。

朝食内容は最低限のアメリカンブレックファストで、質素ですが、、、
オープンエアな朝食は爽やかで良いものです。

朝食を食べ終え、出発前に洗濯物を出します。
トランクを紛失した私たちは手持ちの着替えがわずかしか無いので、洗濯は積極的にしなければなりません。
ここのホテルはなんとランドリーが無料なのです!
とてもありがたいです!
フロントのダニエルが洗濯物は部屋の前に置いておいてと言っていました。
特に入れ物とかは無いらしく、持っていたユニクロのビニール袋に詰めて、部屋の前に…
部屋の前って外だし、特別な置き場もないので、ドアの前の地面に置いておきました。
かお「これで本当に洗濯してくれるのかな…?もし洗濯してくれなかったら、明日着るもの無いよ?」
…置いとくしかありません。
さて、水着を着てダイビングショップに来ました。
7時45分
Scuba Iguana
今日の参加者は13人。
私たち以外に日本人の方が1人いました。
日本人で、年齢が近そうな男性Rさんは、私たちと同じようにゴールデンウィークを利用してガラパゴスに旅行に来たそうです。
今日でガラパゴスダイビング3日目らしく、ショップのガイドさんたちとも仲が良さそうです。
まず、参加者みんなで輪になって座り、一人一人自己紹介と今日の意気込みを発表します。
ほとんどの人がハンマーヘッドシャーク狙いであることが判明!
Rさんもハンマーが見たいと答えていました。
昨日までの2日間では見れなかったらしいです。
私だけアシカが見たいと答えました。
泳いでいるアシカが見たいのです!
一通り説明を受けた後、車に乗り込み近くの港まで移動しました。
車が一緒になった陽気なアメリカ人男性ジェイソンは日本の伊豆でもダイビングしたことがあると言っていました!
私はジェイソンがあまりにも日焼けしていて痛そうなのが気になりました。
すぐに港に到着です。
ここからボートに乗ります。

昨日も来た港です。
やっぱりアシカがいる!!!

なんとも癒されます!!!


ベンチはもうアシカのものです。

ダイビング参加者みんながアシカの写真を撮っています。
ガイドさん「アシカなんてこれからたくさんいるから、早くボートに乗って〜」
き、期待が膨らみます…!
ボートに乗り、出発です!
ここからフロレアーナ島まではボートで2時間近くかかります。
なかなか遠いです。
フロレアーナ島はサンタクルス島の南に位置します。
サンタクルス島から行ける主な日帰りダイビングポイントはこちら…

フロレアーナ島がボート乗船時間が1番長そうです。
ボートはそんなに大きくはなく、13人+乗組員3人+ガイドさん2人でいっぱいいっぱいです。
ボートが出発しました。
とっても揺れます!
体が跳ねます!
酔いやすい私だけでなく、モリも酔い止めを飲んできました。
なんとか大丈夫そうです…
こんな中、日本人Rさんは何とガイドブックを読んでいました。
かお「すごいですね!私は酔い止め飲んできたけど、絶対に本は読めないですよ!」
Rさん「いや…酔い止め飲んでないし、もうそろそろやばいと思ってたところ…」
なんてことしてるんだ〜!
Rさんも旅行好きらしく、旅行の話で盛り上がりました。
ガイドさん「フロレアーナ島が見えて来たよ〜!」

思ったよりフロレアーナ島に早く着いた気がします。
島がもう目の前です。
フロレアーナ島
ガラパゴスには4つの有人の島がありますが、フロレアーナ島はそのうちの1つです。
しかしフロレアーナ島は、現地の人以外はツアーでしか行くことができません。

ガイドさん「みんな起きて~!ダイビングの時間よ!アシカたちもいるわよ!」
島をよく見てみると、たくさんのアシカが泳いでいたり、岩場にいたり…!

モリ「おぉぉ~!いっぱいいるな~!!」
かお「ホントいっぱいいるよ!」
こんな情景を見たらテンションはどんどん上がります!!!
このテンションでなんだか海に入りたくなってきました!
「このテンションなら、今回はいい調子!」
と、自分に言い聞かせる…
いつも怖がって潜るのに手こずることが多いからです。
そういえば、ウエイト(おもり)が自分に合ってるかチェックダイブがあるとのネット情報がありましたが、そんなものはなさそうです。
なんだかもう潜る感じです!
二つのチームに分けられ、それぞれのガイドさんのところに水中で集合するようです。
器材のセッティングから、装着まで全てスタッフがやってくれます!
自分は潜るだけで、色々お世話してくれるダイビングのことを“殿様ダイビング”なんて言いますが、このダイビングはこれまでで最も殿様でした!!
あっという間に全て装着完了していつでも飛び込める状態になっていました。
座っているだけで、フィン(足ひれ)まで履かせてくれるのです!
これはプチ驚きでした…
ガイドさんの掛け声で全員が一斉にバックロールで飛び込む決まりです。
私は飛び込むのが苦手ですが、遅れると色々まずいので頑張りました。
ガイドさん「3、2、1、GO!」
1本目
ポイント名 CHAMPIONS
ガラパゴスは赤道に近くウエイトをかなり重くする必要があるのですが、さすがに重かったのか、いつも手こずるフリー潜行がスムーズ…
沈んだ瞬間、目に飛び込んで来た海の中の景色!!!

えっ!?

えっっ!?

え~~~~~っ!!!!!
うそでしょ!?
魚だらけ!!!!
その場でグルグル回転する私……
どこを見たらいいの!?
360°すごすぎる!!!
そのとき、Rさんがこちらに合図をしました。
Rさんの指す方向を見ると…

……マンタ!?
マンタいるじゃない!?

写真はうまく撮れなかったのですが、マンタが4枚くらい登場です!!!
いきなり入ってすぐにマンタいるの!?
だれもマンタの話してなかったけど、普通にいるの!?
すごすぎて、興奮が止まりません…!!!
このとき、ウエイトが重めのため、すぐにジャケットに空気を入れるべきだったのですが、興奮しすぎて、そんなことは思いつきませんでした。
沈まないように脚をぱたぱたして、無駄に体力を使っていました~。
しばらくして、やっと落ち着き、
「あれ?やけに沈むな…空気入れればいいのか~。」
ってなりました。
魚がたくさんいるので、そんなに透明度が良くないと聞いていましたが、全く透明度は気にならなかったです。
とにかくすごいよ!ガラパゴス!!!

岩の壁沿いに進みます。
ガラパゴスはドリフトダイビングで強い流れの中を進まなければならないという情報がありましたが、予想していたのとは全く違って、あまり流れが無いです。
その時、突然ロケットみたいなものとすれ違いました!
こいつは!?

アシカ!!!
何匹もアシカがロケットのように飛んできて、私たちをかすめていきます!
時にはアシカ同士で戯れているのか、グルグルしています!

海の中で出会うと、迫力がある気がします!

陸の上ではゴロゴロして、寝てばっかりなのに、海の中ではこんなにも俊敏でイキイキしているなんて!!

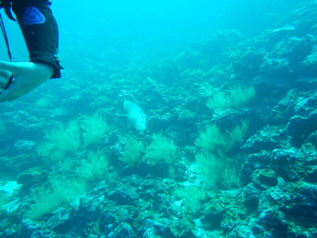
もちろんカメもたくさんいました!
頭を岩に突っ込んで流れないようにして寝てるカメ…

泳いでるカメ…

てか、魚の数がすごすぎる…!!!

頭がおかしくなりそうです。
息抜き?に岩をよく見てみると、小魚もたくさんいます。

ここのポイントは岩に緑色の草みたいなものが生えていて、海の中なのに草原みたいでステキなんです!
草にはたくさんの魚が集まっています!

特に、このチョウチョウウオがかわいい!
パンダみたいな顔をしています!

Barberfishというらしいです。
サメもいました。
ホワイトチップシャークばかりでしたが、5、6匹は見ました。

海の中で話せなくても、参加者みんなとても楽しんでいる気がします!

モリには私がすごく喜んでるのが十分に伝わっていたようです。
ピースサインの私…

だって、ガラパゴスの海楽しすぎですから!

マダラトビエイと思われる集団とも遭遇しました!

しかし、なんといっても、アシカ!!

水の中のアシカのかわいさ、楽しさ、優雅さ!!
後半はアシカがどんどん現れます!


何匹か連なって泳ぐのが好きみたいです。
水の抵抗を受けないためかな?

時にはサメの後ろに連なる子もいます(笑)
面白いです!
見ていて飽きないです!

そして好奇心旺盛で、人間を全く怖がっていないので、私たちの前で止まってこっちを見てきます!!!
私たちの方が観察されています!
いや、弄ばれています!

アシカに悩殺された私たち…
ガイドさんが浮上するよう合図を送ってきましたが…
まだ上がりたくないよ〜(泣)
まだエアー残ってるのに…
でも、仕方ないです…
45分ほどの潜水時間は本当にあっという間に終わりました!
かお「どうしよう、ほんとやばかった!」
モリ「いや〜!やばいな〜!!」
私たちは興奮冷めやまぬ状態…!
モリ「圧倒的だったな!」
これまでのダイビングで圧倒的No.1です!!
これまでの私たちのダイビングの中で1番良かったのはメキシコのコスメル島だったのですが、それを軽々と超えてきました!

船の上でみんなテンション高めです!
ガラパゴスって陸がメインだと思っていたのですが、海の中すごすぎて、私は完全にガラパゴスに敗北なのでした。
恐るべし、、、ガラパゴス!!
お菓子を食べたりして休憩して、2本目のダイビングに行きます!
〜4日目②〜につづく…

